回南
回南(闽南语:,白話字:hoê-lâm,臺羅:huê-lâm)為台灣話描述因為時間前後所接觸颱風暴風圈位置不同,產生的風向轉變現象,由前半期偏北風轉為後半期偏南風。尤其是颱風眼經過的陸地最為明顯,由強烈的偏北風雨經過短暫風停後,突然吹起強烈偏南風雨。該台灣話演繹的台灣國語名詞,至2007年8月的聖帕颱風後,大量被台灣媒體引用。

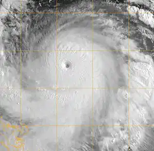
回南的聖帕颱風
夏季接近台灣附近的颱風,走向若為由東向西時,因為氣流轉變,颱風侵襲台灣時間的前期通常為北風、東北風或西北風等,之後,颱風則通常會轉變成南風、東南風或西南風等。而當北風、東北風或西北風漸變成南風、東南風或西南風時,台灣民俗就認為颱風已過一半,至此風雨將逐漸減小,甚至完全停止。此種風向轉變,即為「回南」或稱「回南效應」。
不過值得注意的是,颱風回南之後,通常也會引進侵害台灣中南部的風害或促成豪雨的西南氣流。而當時序進入秋季,台灣開始受大陸高氣壓影響,即使颱風向西遠離台灣之後,北台灣仍會持續受東北季風吹拂,風向不會明顯轉為偏南風,而有陰雨連綿數日的天氣現象,此現象即為就是台灣話俗諺所說「颱風過後沒回南,十日九日濕」。
戰後以來,產生回南效應且對台灣造成重大災害的颱風,除了聖帕外,尚有道格、碧利斯、敏督利、卡玫基、莫拉克等。台灣戰後最嚴重的水患八七水災及相隔50年後的2009年八八水災亦為熱帶性低氣壓和颱風外圍環流所引進的旺盛西南氣流所致。
參考資料
- 奇摩新聞,新聞辭典 :『颱風回南』(2007年8月18日造訪)
- 東森新聞網,中颱聖帕/颱風回南啦! 中南部風雨將持續增強
- 奇摩新聞,新聞辭典 :強颱聖帕/路徑相同,碧利斯、提姆重創台灣(2007年8月18日造訪)
- 中央氣象局,颱風百問
This article is issued from Wikipedia. The text is licensed under Creative Commons - Attribution - Sharealike. Additional terms may apply for the media files.