2005年飓风内特
飓风内特(英語:)是2005年9月上旬对百慕大构成威胁,但始终处于海上没有登陆的大西洋飓风,是这年大西洋飓风季的第14场获得命名的风暴,也是第7场飓风。内特于9月5日在百慕大西南部形成,起初以非常缓慢的速度向东北方向移动。早期预测认为飓风可能会对百慕大构成威胁,但内特实际上以一级飓风强度有惊无险地从该岛以南洋面经过。逐渐远离岛屿后,风暴进入海面温度较低、并且存在不利于气旋发展风切变的海域,导致其强度减弱成热带风暴,于9月10日转变成温带气旋。系统的温带残余之后被一个更大规模的天气系统吸收。
羅
| 一級颶風(美國) | |
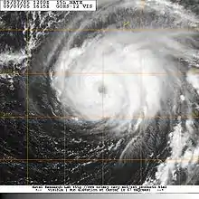
![]() 2005年9月7日的飓风内特 | |
| 形成 | 2005年9月5日 |
|---|---|
| 消散 | 2005年9月10日 |
| 最高風速 | 1分鐘持續: 90英里/小時(150公里/小時) |
| 最低氣壓 | 979毫巴(百帕);28.91英寸汞柱 |
| 死亡 | 直接造成两人死亡 (两者都是由内特和飓风玛丽亚一起造成) |
| 損失 | 無 |
| 影響地區 | 百慕大、美國東岸、蘇格蘭、挪威 |
| 2005年大西洋颶風季的一部分 | |
这场飓风没有造成结构性破坏,但与其它风暴一起在新泽西州海岸形成的离岸流导致有一人死亡。内特给百慕大岛带去少量降水和强烈阵风,其残余与飓风玛丽亚在蘇格蘭部分地区和西挪威产生强降雨,引发的泥石流又造成一人死亡。正装载颶風卡特里娜救灾物资朝墨西哥湾进发的四艘加拿大海军舰艇也因为试图避开内特和飓风奥菲利亚而不得不延迟。
气象历史

8月30日,一股东风波[注 1]离开非洲西部海岸后向西穿越大西洋,其轴线周围保持有强劲的对流区。到了9月1日,大部分深层对流都已被西南向风切变剥离,不过东风波仍然维持着良好的状态继续向西北偏西方向移动。东风波之后分裂成两个部分,北面的部分于9月3日经过背风群岛和飓风玛丽亚之间,南面部分则进入加勒比海。9月4日,东风波的北面部分开始与一个上层低氣壓和一个位于百慕大与背风群岛之间的细长低壓槽发生相互作用[2],这个低压槽之前还在飓风奥菲利亚的发展过程中扮演了重要角色[3]。由于风切变很少,东风波轴线上重新发展出对流并逐渐组织起来,对流带也围绕一片广阔的表面低气压形成。估计系统于协调世界时9月5日下午18点在百慕大西南偏南约560公里处发展成2005年大西洋飓风季的第十五号热带低气压[2]。
成为热带低气压后,环流中心的东部附近发展出深层对流。与此同时,带状特征的层次结构也得以改善[4]。9月5日晚,气旋的整体云层格局有所改善,雷暴活动集中且深化,环流的层次结构也越来越清晰[5]。归类为热带低气压仅6小时后,气旋就强化为热带风暴,美国国家飓风中心将其命名为“内特”()。之后的两天时间里,风暴缓慢朝东北方向的百慕大移动[2]。
9月6日凌晨时分,内特因飓风玛利亚和巴哈马上空一片扰动天气之间的弱转向气流影响而基本停止移动[6]。卫星图像显示云层格局继续组织,并且风暴周围有明显的外流存在[7]。9月6日晚,系统中开始发展出明显的带形眼状特征[8]。9月7日中午12点,热带风暴内特经进一步强化后升级成飓风,并开始转向远离百慕大[2]。一些模拟结果表明内特要么会被规模更大的飓风玛丽亚吸收,要么就会与其合并,但美国国家飓风中心预测风暴会继续以一个独立系统的形式存在,之后的事实也证明的确如此[9]。由于西北方向有短波槽逐渐逼近,巴哈马东北部上空的大规模低气压区逐渐形成广阔的低压槽,9月7日晚,这个大型低压槽向东北和西南方向拉长,同时短波槽又沿另一低压槽的西部向南面移动。广阔低压槽东南部沿线的西南气流不断增多,令内特加速向东北方向推进。9月8日晚,飓风在百慕大东南方向约205公里洋面经过期间达到最大持续风速每小时145公里的最高强度,不过其最强风力距海岸一直保持着较远的距离[2]。
处于最高强度时,气旋保持着良好的组织结构和“可观”的对流格局[10],但不久后就因不断增长的风切变和干燥空气的侵蚀而减弱,于9月9日晚降级成热带风暴[2]。卫星图像显示其云层格局开始迅速恶化[11]。飓风正式降级成热带风暴的时间是9月9日下午18点,之后由于逐渐逼近的低压槽和关联冷锋产生的风切变增多而继续弱化[2]。到了9月9日晚,原本覆盖范围就很有限的对流活动已经全部局限在环流东部半圆,导致下层环流中心暴露出来[12]。仅数小时后,风暴就已减弱成下层云层漩涡[13]。次日,系统转变成温带气旋,并于9月13日凌晨0点左右由亚速尔群岛东北偏北方向一个更大规模的天气系统吸收[2]。
影响、纪录和命名

9月7日早上,百慕大收到了热带风暴观察预警,当天晚些时候又先后升级成热带风暴警告和飓风观察预警。但是风暴并没有行进到较为接近岛上的位置,9月8日转向远离岛屿后,所有警告和预警也相应取消[2]。有四艘游船提前离开了该岛,多架航班也因预期内特的到来而取消[14][15]。9月8日凌晨4点,美国国家飓风中心评估内特有34%的可能会在距该岛121公里内海域经过[16]。
内特的外围雨带以持续风速每小时55公里强度掠过百慕大,产生了大范围降雨[2][17]。阵风风速更高,峰值约为第小时80公里左右[18]。百慕達國際機場所记录的降雨量不到25毫米[2]。百慕大气象局的一位工作人员称:“我们很幸运,我们在这场风暴中遇到的情况绝对不是最糟的”[18]。风暴没有在百慕大地区造成任何人员伤亡,也没有出现当地遭受损失的报道[2]。有两艘船报告遭遇了风暴产生的热带风暴强度大风,分别是位于风暴中心以北的“马士基新奥尔良号”(),以及另一艘电台呼号为,位于风暴中心东南偏东方向的船只[2]。内特和距离更远的飓风玛丽亚产生的离岸流在新泽西州海岸导致一死一伤,另外还有多人身陷离岸流中,不过都得以逃脱[19]。内特与飓风奥菲里亚加上持续的东北风,令南卡罗莱纳州和北卡罗莱纳州受到恶劣的海况影响。位于恐怖角的一个近海浮标记录下高达3.7米的大浪[20]。
内特和玛丽亚残余的热带能量合并到了一个广阔的风暴系统中并一直行进到欧洲部分地区。这个中纬度气旋给整个蘇格蘭高地带来了一天的强降雨,其中斯凯岛24小时的总降雨量达到131毫米[21]。随着其继续向北推进,风暴也给西挪威带去了暴雨,引发大规模洪灾和泥石流,导致1人死亡,9人受伤[21][22]。虽然内特和玛丽亚的残留绕开了英格兰,但由于风暴的过滤带来了北极的寒冷空气,这一地区的气温与往年平均水平相比有明显上升。在一些地方这导致了冬季首次霜冻的出现[23]。冷空气的涌入令气温下降到零下1.7摄氏度,向南直至赫特福德郡的地区气温都低于冰点[21]。
四艘皇家加拿大海軍船只装载着颶風卡特里娜善后所需的救灾物资前往美國墨西哥灣沿岸地區,但由于需要避开飓风内特和飓风奥菲利亚而不得不减速行驶[24]。这些船只中包括一艘驱逐舰,两艘巡防艦和一艘破冰船,为了减少货物受损的风险,船员制定计划从两个飓风之间穿过,他们还预计将遇上风大浪急的海面,于是对船上包括发电机、电锯、尿布和婴儿床在内的补给物资进行加固[25]。热带风暴内特继续在2005年大西洋飓风季期间进行空前的热带活动,9月5日形成时就创造了任何一个飓风或台风季中第十四个获得命名热带气旋形成时间最早的新纪录,打破了之前由1936年大西洋飓风季中一个未命名风暴保持的纪录[26]。
参考资料
- . National Hurricane Center. 2013-03-25 [2014-06-15]. (原始内容存档于2014-06-01).
- Stacy R. Stewart. (PDF). National Hurricane Center. 2005-11-29 [2013-09-29]. (原始内容存档 (PDF)于2013-02-25).
- Jack Beven and Hugh D. Cobb, III. (PDF). National Hurricane Center. 2006-01-26 [2013-09-29]. (原始内容存档 (PDF)于2013-08-23).
- Robert Molleda and Richard Pasch. . National Hurricane Center. 2005-09-05 [2014-10-02]. (原始内容存档于2012-10-10).
- Richard Knabb. . National Hurricane Center. 2005-09-05 [2013-09-29]. (原始内容存档于2012-10-10).
- Stacy Stewart. . National Hurricane Center. 2005-09-06 [2013-09-29]. (原始内容存档于2012-10-10).
- Lixion Avila. . National Hurricane Center. 2005-09-06 [2013-09-29]. (原始内容存档于2012-10-10).
- David Roberts and Jack Beven. . National Hurricane Center. 2005-09-06 [2013-09-29]. (原始内容存档于2012-10-10).
- David Roberts and Jack Beven. . National Hurricane Center. 2005-09-07 [2013-09-29]. (原始内容存档于2012-10-10).
- Jamie Rhome and Jack Beven. . National Hurricane Center. 2005-09-08 [2013-09-29]. (原始内容存档于2012-10-10).
- Jamie Rhome and James Franklin. . National Hurricane Center. 2005-09-09 [2013-09-29]. (原始内容存档于2012-10-10).
- Eric Blake and Lixion Avila. . National Hurricane Center. 2005-09-09 [2013-09-29]. (原始内容存档于2012-10-10).
- Jamie Rhome and Jack Beven. . National Hurricane Center. 2005-09-09 [2013-09-29]. (原始内容存档于2012-10-10).
- Stuart Roberts. . – via HighBeam Research
. Associated Press. 2005-09-08 [2013-09-29]. (原始内容存档于2012-10-22). - . Airline Industry Information. 2005-09-08 [2014-10-03]. (原始内容存档于2015-03-23) –HighBeam Research.
- David Roberts and Jack Beven. . National Hurricane Center. 2005-09-07 [2013-09-29]. (原始内容存档于2012-10-10).
- Mark Guishard & Roger Williams. . Bermuda Weather Service. [2013-09-29]. (原始内容存档于2012-07-07).
- Staff Writer. . Associated Press. 2005-09-08 [2013-09-29]. (原始内容存档于2012-10-22).
We were lucky ... We definitely did not get the worst case scenario with this storm
- . National Climatic Data Center. 2005.
- Bruce Smith. . The Inland Valley Daily Bulletin. 2005-09-11.
- Philip Edgen. . The Sunday Telegraph. 2005-09-18.
- Jonathan Tisdall. . Aftenposten. 2005-09-14 [2011-06-29]. (原始内容存档于2011-06-29).
- Paul Simmons. . The Times (London). 2005-09-20.
- Jim Fox. . St. Petersburg Times. 2005-09-11 [2013-09-29]. (原始内容存档于2012-10-10).
- Canadian Press. . The Vancouver Province. 2005-09-09.
- National Hurricane Center; Hurricane Research Division. . United States National Oceanic and Atmospheric Administration. 2013-06-18 [2013-09-29]. (原始内容存档于2013-09-21).
